
Siêu bão Sinlaku - cơn bão mạnh nhất thế giới tính đến thời điểm hiện tại của năm 2026 - đã đổ bộ trực tiếp vào quần đảo Bắc Mariana của Mỹ vào tối 14.4 (giờ địa phương), mang theo sức gió mạnh nhất khoảng 240 km/h, giật gần 280 km/h, gây thiệt hại nghiêm trọng trên diện rộng.
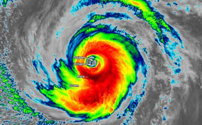
Tâm bão - hay còn gọi là mắt bão - đã quét trực tiếp qua hai đảo Saipan và Tinian, nơi sinh sống của khoảng 50.000 người. Đây được xem là cú đánh trực diện hiếm gặp, khi toàn bộ cấu trúc bão mạnh nhất trùm lên khu vực dân cư trong nhiều giờ.
Gió giật dữ dội và mưa xối xả đã xé toạc mái tôn, quật đổ cây cối và biến nhiều khu dân cư thành “bãi chiến trường”. Tại làng Susupe (đảo Saipan), cư dân Dong Min Lee cho biết cảnh tượng hỗn loạn khi một chiếc ôtô bị hất văng chồng lên hai xe khác trong bãi đỗ, còn lan can căn hộ của anh bị gió cuốn bay một phần.
Với cấu trúc hoàn chỉnh và cường độ cực đại, Sinlaku duy trì trạng thái tàn phá trong nhiều giờ liền trước rạng sáng 15.4.
Không chỉ Bắc Mariana, đảo Guam - lãnh thổ Mỹ với hơn 170.000 dân và nhiều căn cứ quân sự - cũng hứng chịu gió mạnh và mưa xối xả, gây lũ quét và nguy cơ gián đoạn điện nước kéo dài nhiều ngày.
Theo cảnh báo của cơ quan khí tượng, với cường độ này, gần như toàn bộ nhà mái tôn có thể bị phá hủy, cây cối bị bật gốc hàng loạt và nhiều khu dân cư có nguy cơ bị cô lập trong nhiều tuần.
Đáng chú ý, Sinlaku là siêu bão đầu tiên của năm 2026 và đã đạt cường độ cực đại với tốc độ “tăng cấp thần tốc”. Chỉ trong hơn 30 giờ từ ngày 11 đến 12.4, cơn bão này đã nhảy vọt từ cấp 1 lên cấp 5 - một trong những tốc độ mạnh lên nhanh nhất từng ghi nhận.
Giới khí tượng nhận định, Sinlaku hình thành trong điều kiện “hoàn hảo đến nguy hiểm”: Nhiệt độ nước biển cực cao (30-32 độ C), gió đứt tầng thấp, không khí ẩm dồi dào và dòng thoát khí trên cao mạnh. Đây là “công thức vàng” để tạo ra những siêu bão có cấu trúc hoàn hảo và sức tàn phá tối đa.
Hình ảnh vệ tinh cho thấy một “quái vật khí quyển” với mắt bão tròn, rõ nét - dấu hiệu của cường độ cực đại. Không khí nóng ẩm liên tục được hút vào tâm bão, bốc lên và giải phóng năng lượng, duy trì vòng xoáy khép kín cực kỳ ổn định với sức tàn phá khủng khiếp.
Sinlaku được dự báo sẽ suy yếu dần trong những ngày tới nhưng vẫn duy trì cấp 4-5 khi tiếp tục di chuyển qua khu vực Mariana trước khi bẻ hướng lên phía bắc.
Việc một siêu bão xuất hiện sớm ngay đầu mùa đang làm dấy lên lo ngại về một năm thời tiết cực đoan. El Nino - hiện tượng làm ấm bất thường nước biển - đang đóng vai trò như “nguồn nhiên liệu”, thúc đẩy sự hình thành và tăng cường của các cơn bão mạnh hơn, nhanh hơn và khó dự đoán hơn.
Các nhà khí tượng học đang gióng lên hồi chuông cảnh báo về nguy cơ El Nino tồi tệ nhất 140 năm trong năm nay.
Việc bão Sinlaku và bão Maila xuất hiện ở cả hai phía đường xích đạo tại khu vực tây Thái Bình Dương tạo ra các đợt gió tây mạnh, đẩy khối nước ấm dịch chuyển về phía đông - một trong những điều kiện quan trọng thúc đẩy El Nino phát triển.
Giới khoa học cảnh báo, Sinlaku có thể chỉ là khởi đầu cho một mùa bão dữ dội, khi các yếu tố khí hậu đang cùng lúc khuếch đại sức mạnh của thiên nhiên lên mức nguy hiểm chưa từng có.

